New NCESD/KVFD Station Build Information

Please see below for information concerning the new station for Navarro County ESD 1 and Kerens Volunteer Fire Department. To view the information, please click on the picture.


Architecture Drawing

Architectural plan for a new fire station building for Kerens Volunteer Fire Department. Aerial map shows site location.

Geotechnical Report

A cover page of a geotechnical investigation report for a proposed building at 405 NE 2nd Street, Navaro County, Texas.

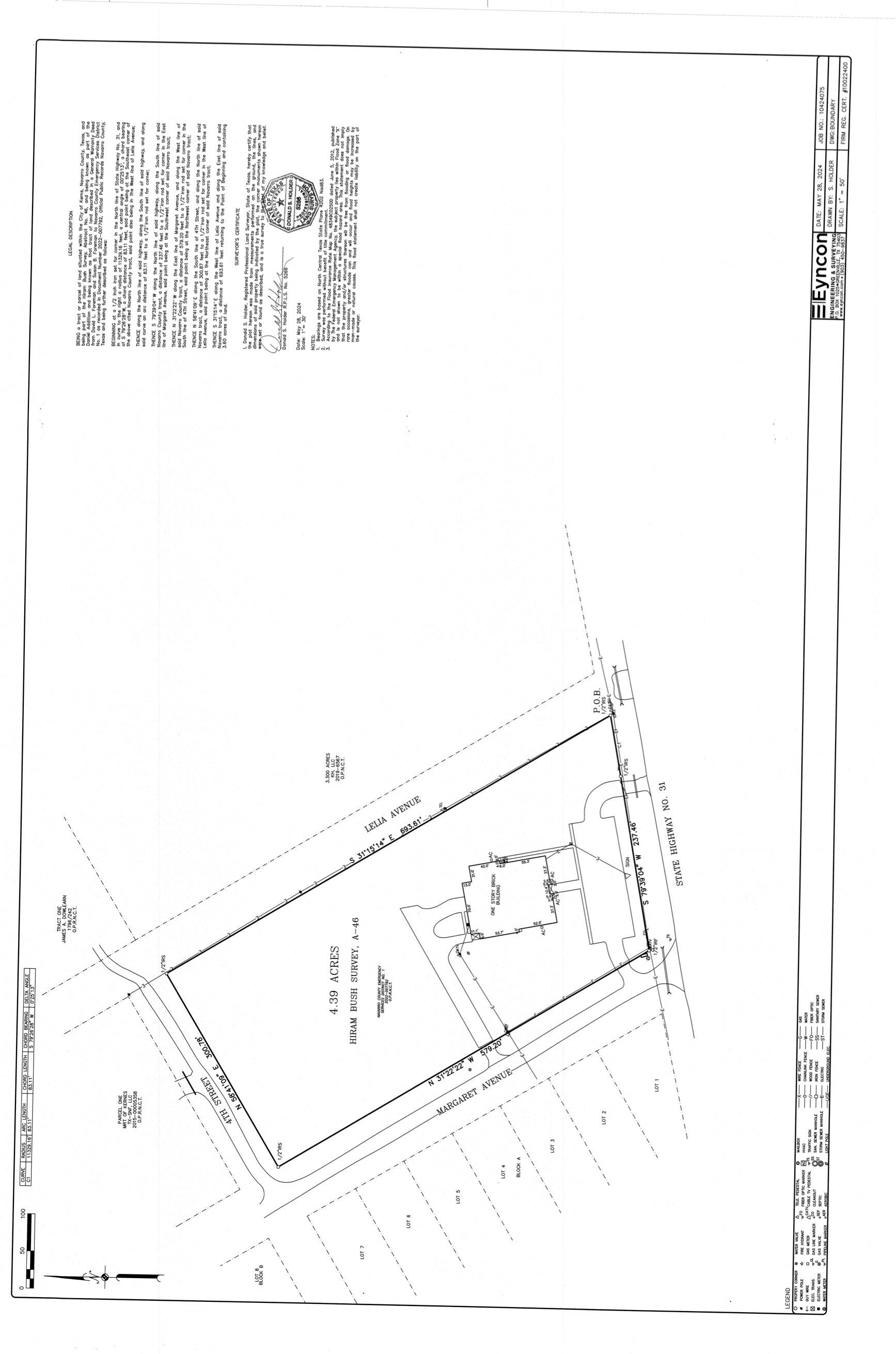
Survey

Survey plan of a property showing lot lines, building outline, and text details.

Architecture Drawing

Architectural plan for a new fire station building for Kerens Volunteer Fire Department, Texas, with site map and notes.

Geotechnical Report

Geotechnical investigation report for a building at 405 NE 2nd Street, Navasota County, Texas.

Survey

Land survey document with building outline. Text and symbols are visible, with address and plot details.